本文へスキップ
出水市の不動産のことなら(株)正行不動産へ
(株)正行不動産
電話でのお問い合わせは
0996-67-4422
〒899-0126 鹿児島県 出水市 六月田町415
物件一覧
>
米ノ津地区
松田戸建
new
detail
鹿児島県出水市六月田町
物件概要
賃料
60,000円
敷金
120,000円
仲介料
66,000円
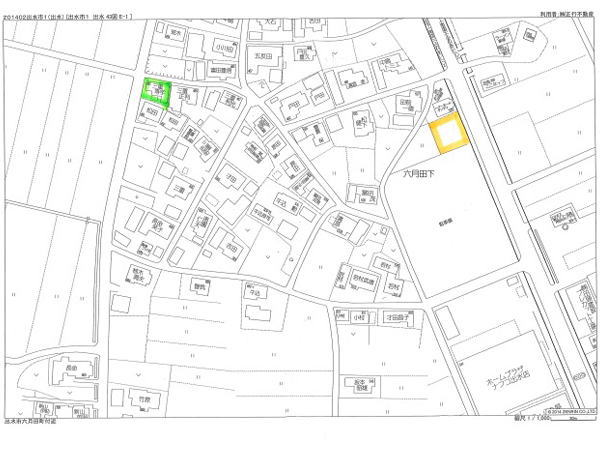
住所:出水
六月田町490
築年数
令和7年9月リフォーム済
地積
265.78u(80.39坪)
間取り
間取り図参照
床面積
駐車場
有(家賃に含む)
取引形態
仲介
入居時期
即時
現況
空き
物件番号
k00031
周辺環境
校区(米ノ津東小学校 米ノ津中学校)
設置・条件
物件写真
家 賃
敷 金
仲介料
合 計
\60,000
¥120,000
¥66,800
¥246,000
間取り図
マップ
このページの先頭へ
ナビゲーション
top page
トップページ
company
会社案内
real estate
賃貸物件
real estate
売家物件
real estate
売地物件
contact us
お問い合わせ
access
アクセス
バナースペース
賃貸物件一覧
売家物件一覧
売地物件一覧
出水市役所HP
出水市ゴミ出し日
JR九州出水駅時刻表
肥薩おれんじ鉄道時刻表
南国交通