| 価格 | 20,000,000円 | ||
|---|---|---|---|
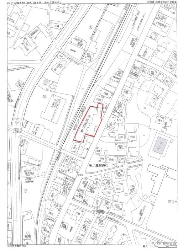
| 住所 | 出水市下鯖町498…@498-2…A499…B501…C | ||
| 家屋番号 | |||
| 新築・中古 | 中古 | ||
| 建物面積 | @133.66u(工場)24u(附属家その他)353.50u(倉庫・一般用) 173.32u(倉庫・一般用) C54.72u(事務所) |
||
| バルコニー | 向き | ||
| 建築階数 | 平家建 | ||
| 部屋/区画番号 | 総戸/区画数 | ||
| 種類 建築構造 築年数 |
@498:工場・その他の用…木造セメント瓦葺平家建 昭和39年 附属家・その他の用…木造亜鉛鉄板葺平家建 昭和55年 倉庫・一般用…鉄骨造スレート瓦葺平家建 昭和55年 倉庫・一般用…鉄骨造スレート瓦葺平家建 昭和45年 C501:事務所…木造瓦葺平家建 平成13年 |
||
| 間取内容 | 間取り図参照 | ||
| 駐車場 | 取引形態 | 仲介 | |
| 引渡/入居時期 | 現況 | ||
| 地目 | 宅地 | 用途地域 | 無指定 |
| 土地面積 | @534.49u、A53.92u B274.20u、C696.85u |
土地面積計測方法 | |
| 建ぺい率 | % | 容積率 | % |
| 周辺環境 | 米ノ津東小学校 米ノ津中学校 | ||
| 設備・条件 | |||
| 物件番号 | k0028 | ||
| 自社物 | 先物 | 状態 | 売出中 2025/9/25 掲載 |

















